| (812) 467-86-26 info@agisoft-metashape.ru |

Функциональные возможности
И особенности разных типов лицензий Metashape
Agisoft

Профессиональное издание

ПриобрестиКонсультация

Фотограмметрическая триангуляция

Поддерживаемые типы изображений:

  • Аэрофотосъемка (наземная, наклонная)
  • Съёмка с близкого расстояния
  • Спутниковая съёмка
Автоматическая калибровка:
  • Рамочные камеры (включая «рыбий глаз»)
  • Сферические камеры
  • Цилиндрические камеры
Дополнительные возможности:
  • Поддержка многокамерных проектов
  • Работа со сканированными изображениями с опорными метками




Плотное облако точек: классификация и редактирование

Обеспечение высокой точности результатов за счет тщательной обработки модели.

Автоматическая классификация точек для оптимизации последующей реконструкции.

Поддержка импорта и экспорта данных для интеграции в стандартные процессы обработки точечных данных.







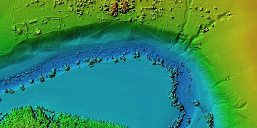
Цифровая модель рельефа: создание
и редактирование DSM/DTM

Создание цифровой модели поверхности (ЦМП) или рельефа (ЦМР) в соответствии с задачами проекта.

Точная привязка к местности с использованием данных EXIF, журнала полёта и опорных точек (GCP).

Совместимость с различными системами координат, включая WGS84 и UTM (реестр EPSG).

Возможность настройки вертикальной составляющей на основе данных о геоидальных волнах.

Инструменты для редактирования цифровой модели рельефа (DEM), включая рисование линий разрыва и заливку.

Создание ортомозаики с привязкой к местности

Генерация геопривязанной ортомозаики в формате GeoTIFF, совместимом с ГИС.

Поддержка экспорта в KML для Google Earth.

Блочный экспорт для обработки крупномасштабных проектов.

Реализована цветокоррекция для достижения однородности текстуры.

Встроен фильтр для устранения артефактов, вызванных динамическими объектами.

Поддержка плоской и цилиндрической проекций для проектов с близкого расстояния.


Поддержка данных LiDAR

Интеграция с данными воздушного LiDAR, включая поддержку атрибутов точек.

Расширенные возможности регистрации данных лазерного сканирования, включая внешнюю регистрацию.

Повышение точности за счет выравнивания лазерных сканов по маркерам.

Наглядная визуализация данных лазерного сканирования в виде 3D-моделей.

Улучшенная классификация наземных точек, адаптированная для обработки данных LiDAR.


Наземные контрольные точки/опора шкалы

Географическая привязка и контроль точности результатов с помощью импорта опорных точек (GCP).

Быстрый ввод GCP благодаря автоматическому определению кодированных и некодированных целей.

Простой инструмент для установки эталонных расстояний, не требующий сложного оборудования.




Измерения: расстояния, площади, объемы

Выполняйте базовые измерения расстояний, площадей и объёмов с помощью встроенных инструментов.

Легко переносите результаты фотограмметрической обработки во внешние программы для более глубокого метрического анализа благодаря поддержке различных форматов экспорта.




Стереоскопические измерения

Для обеспечения высокой точности и удобства стереоскопической векторизации и измерения объектов поддерживаются профессиональные 3D-мониторы и 3D-контроллеры.








3D-модель: создание и текстурирование 

Поддерживаемые сцены: широкий спектр объектов, включая археологические памятники, артефакты, здания, интерьеры, людей и многое другое.

Публикация и экспорт: возможность прямой загрузки на различные онлайн-платформы и экспорта в множество популярных форматов файлов.

Фотореалистичные текстуры: поддержка HDR (расширенного динамического диапазона) и работы с несколькими файлами текстур, включая UDIM.

Генерация иерархической плиточной модели 

Возможность создания моделей целых городов с сохранением исходного разрешения изображений, что обеспечивает высокую детализацию текстур.







4D-моделирование для динамических сцен 

Раскройте свой творческий потенциал с помощью обработки данных с нескольких камер, идеально подходящей для кинематографа, игровой индустрии и других творческих проектов.

Создавайте захватывающие визуальные эффекты, используя 3D-модели, реконструированные во временной шкале, которые станут основой для ваших самых смелых идей.

Панорамная строчка

Реконструкция 3D-моделей на основе данных, полученных с нескольких точек съемки (камерных станций), даже если данные каждой точки получены с одной и той же позиции камеры. Требуется как минимум две станции.

Создание захватывающих панорамных изображений на 360° из отдельных снимков, сделанных одной камерой.




Обработка мультиспектральных изображений 

Анализируйте данные с разных типов камер: RGB, NIR, тепловизионных и мультиспектральных.

Быстро восстанавливайте информацию, используя нужный вам канал.

Создавайте многоканальные ортомозаики и рассчитывайте пользовательские индексы растительности (NDVI и другие) для точного анализа и мониторинга.

Автоматическое обнаружение линий электропередач 

Оптимизированное решение для крупномасштабных проектов, требующее минимального объема данных: только выровненные изображения.

Получайте 3D-модели проводов в виде полилиний с помощью надежного алгоритма подбора цепной кривой. 

Экспортируйте результаты и интегрируйте их в свой рабочий процесс.

Обработка спутниковых снимков 

Поддерживается стандартный процесс обработки панхроматических и мультиспектральных спутниковых изображений, если для каждого изображения доступны достаточно точные данные RPC (коэффициенты рационального многочлена).





Java API и Python 

Пакетная обработка дополняется возможностями расширенной автоматизации и настройки с помощью Python-скриптов и Java-привязок. 

Поддерживается добавление пользовательских операций в графический интерфейс, полная автоматизация заданий и интеграция в конвейеры Python/Java.


Сетевая обработка 

Обрабатывайте огромные массивы данных быстрее, чем когда-либо, используя распределённые вычисления по локальной сети.

Эта функция позволяет объединить вычислительные мощности нескольких компьютеров для вашего проекта, значительно сокращая время обработки.



Виды лицензий

Автономная лицензия (с привязкой к вычислительному узлу) предоставляет право на использование программного обеспечения на одном компьютере. Однако предусмотрена возможность переноса лицензии на другой компьютер путем последовательной деактивации на текущем устройстве и активации на новом. Для активации и деактивации требуется подключение к Интернету. После успешной активации лицензии работа с программой возможна в автономном режиме. Для компьютеров, не имеющих доступа к Интернету, предлагается процедура автономной активации/деактивации, осуществляемая с помощью электронной почты на другом устройстве, подключенном к Интернету.
Плавающая лицензия обеспечивает максимальную гибкость в использовании Agisoft Metashape. Она позволяет установить программу на неограниченное количество компьютеров в сети (локальной или с доступом к серверу лицензий по IP-адресу). Количество одновременно работающих экземпляров программы ограничено только количеством приобретенных лицензий. Это позволяет эффективно распределять лицензии между различными подразделениями организации, не ограничивая количество установок. Для работы плавающей лицензии необходим выделенный сервер с установленным сервером лицензий (Floating License Server, FLS). Установка плавающей лицензии включает в себя:

  • Установку и активацию FLS.
  • Активацию плавающей лицензии.
Образовательные лицензии предоставляются исключительно аккредитованным учебным заведениям, их сотрудникам и студентам, включая университеты, колледжи, научно-технические институты и профессионально-технические училища. Студенты, преподаватели и научные сотрудники аккредитованных учебных заведений также имеют право на приобретение образовательной лицензии. Важно отметить, что любое коммерческое использование программного обеспечения, приобретенного по образовательной лицензии, запрещено. При этом в отношении технических характеристик образовательные лицензии полностью соответствуют функциональности автономных и плавающих лицензий.

Остались вопросы?

Cookie-файлы
Настройка cookie-файлов
Детальная информация о целях обработки данных и поставщиках, которые мы используем на наших сайтах
Аналитические Cookie-файлы Отключить все
Технические Cookie-файлы
Другие Cookie-файлы
Мы используем файлы Cookie для улучшения работы, персонализации и повышения удобства пользования нашим сайтом. Продолжая посещать сайт, вы соглашаетесь на использование нами файлов Cookie. Подробнее о нашей политике в отношении Cookie.
Понятно Подробнее
Cookies